Monika Földešiová Rôzne

Toľko kriku pre pár ulíc

Poslanci nitrianskeho zastupiteľstva sa nevedeli dohodnúť na schvaľovaní názvov nových ulíc v jednotlivých mestských častiach. Na prvý pohľad jednoduchý bod rokovania nenechal viacerých našich zástupcov ľudu chladnými.

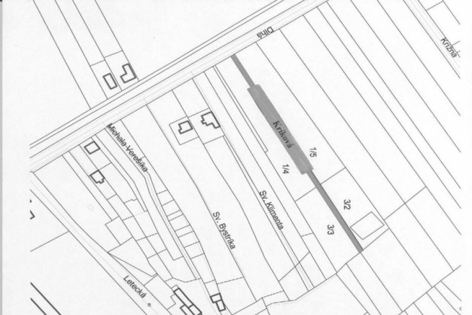
Zobor, Janíkovce, Klokočina i Dolné Krškany sú obohatené o nové ulice. Na stôl magistrátu bol predložený návrh schválenia ich názvov. Tí schválili pomenovanie ulíc Pod lesom a Margarétkova na Zobore a Kríkova ulica v Janíkovciach. Nie všetky však stihli byť „pokrstené“. Návrh pomenovať ulicu Davarčanská v Krškanoch sa nepozdávalo poslancovi Ferdinandovi Vítekovi. „Davarčanská je pomaďarčená už existujúca Dvorčanská. Ja nie som žiadny šovinista a nemám nič proti maďarským názvom, bolo by však dobré vymyslieť alternatívu“, uviedol počas diskusie Vítek. Jeho názor s najväčšou pravdepodobnosťou zavážil, pretože miestni poslanci návrh neodsúhlasili. Okrem neho sa na opätovné prerokovanie vráti aj podnet z Klokočiny. Členovia tohto výboru mestskej časti predložili rovno 2 návrhy tej istej ulice – Kroměřížska alebo Gosfordská, na ktorej sa podľa správy realizuje výstavba nových domov. Obe pomenúvajú partnerské mestá Nitry, podľa niektorých poslancov je však Kroměříž významnejším, keďže je v susednom Česku. Dohodnúť sa však nevedeli ani na zastupiteľstve. „Na Klokočine je zrejme nesúlad v samotnom výbore, názorová línia je tam rôzna. Budeme im to teda musieť vrátiť späť na prerokovanie“, uviedol primátor Jozef Dvonč.

Foto: MsÚ Nitra

ulice v nitre
5
Galéria
Najčítanejšie v regióne
Najčítanejšie na Dnes24.sk
Magazín
Najčítanejšie v regióne
Najčítanejšie zo Slovenska
SLEDUJTE NÁŠ INSTAGRAM